The hurricane season in Cancun has begun, making it essential to stay alert at all times to ensure your safety, especially if you are a tourist.
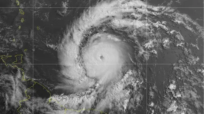
With the arrival of Hurricane Beryl in Cancun, it’s crucial to know how to stay safe from your hotel, resort, or wherever you are staying. This type of natural disaster can significantly impact travelers and the general population. According to official information, Hurricane Beryl is expected to hit the Caribbean coast this Thursday, July 6, 2024, so be prepared for its impact.
Understanding the risk of Cancun’s hurricanes

Authorities often issue warnings before hurricanes arrive in Cancun or other tourist destinations. It’s crucial to stay informed about these natural phenomena’s potential impact.
If you are a tourist, you might find yourself in one of two situations:
- You have planned your trip, secured your flights and accommodations, and are due to arrive in Cancun a few days before the hurricane hits.
- You are already staying in Cancun when the hurricane strikes.
If you are a tourist about to arrive on the Caribbean coast, it is essential to stay informed about the hurricane’s path. In this case, Beryl is already a high-category hurricane on the Saffir-Simpson scale. We recommend checking your flight status and contacting your airline about possible rescheduling or cancellations. Similarly, contact your accommodation to understand their cancellation or rescheduling policies.
If you are already in Cancun, follow the instructions of local authorities and the staff at your hotel or accommodation. Stay calm and adhere to the resort’s emergency plans and any evacuation orders. Keep the contact numbers for emergency services and your country’s consulate handy.
Cancun hurricane season can cause heavy rains, flooding, power outages, water shortages, and significant infrastructure damage. As a tourist unfamiliar with local authorities, it is crucial to stay alert and follow your accommodation’s directions during the hurricane.
What to do to stay safe during Hurricane Beryl in Cancun?
To prepare for Hurricane Beryl, stay calm and ready for the impact. Keep informed about weather updates from reliable sources like the National Hurricane Center (NHC).

Prepare an emergency kit with essential items such as water, non-perishable food, a flashlight, extra batteries, cash, and important documents. Additionally, inquire about the evacuation plan and assigned shelters at your resort or accommodation.
During the hurricane, stay inside your room, away from windows and glass doors to prevent injuries. If evacuation orders are issued, follow them immediately; ignoring them can be more dangerous for you and your companions. Use rechargeable flashlights for some interior lighting.
Tips for Tourists
- Insurance: Ensure you have travel insurance that covers natural disasters. This can help cover costs related to evacuation, medical expenses, and trip cancellations.
- Stay with the Group: If you are traveling in a group, stay together. There is safety in numbers, and it is easier to ensure everyone’s well-being.
- Hotel Resources: Utilize the resources provided by your hotel. Many resorts have emergency supplies and protocols to help guests during hurricanes.
- Local Contacts: Have the contact information for local emergency services, the nearest hospital, and your country’s embassy or consulate.
Learn About the Different Types of Hurricane Warnings/Phases of Hurricane Approach

Conclusion
Experiencing a hurricane while on vacation can be daunting, but by staying informed and prepared, you can significantly reduce the risks. Remember to follow local instructions, stay indoors, and have an emergency plan in place. Cancun authorities and hotels are well-prepared for such events and will provide the necessary support to ensure your safety. Stay calm, stay safe, and take the necessary precautions to protect yourself and your loved ones during Hurricane Beryl.
